Hyole marchait très fort en début de saison , peut-être trop fort , mes collègues Gilles et Jojo se foutant meme de moi en disant que je voulais juste une troisieme setter
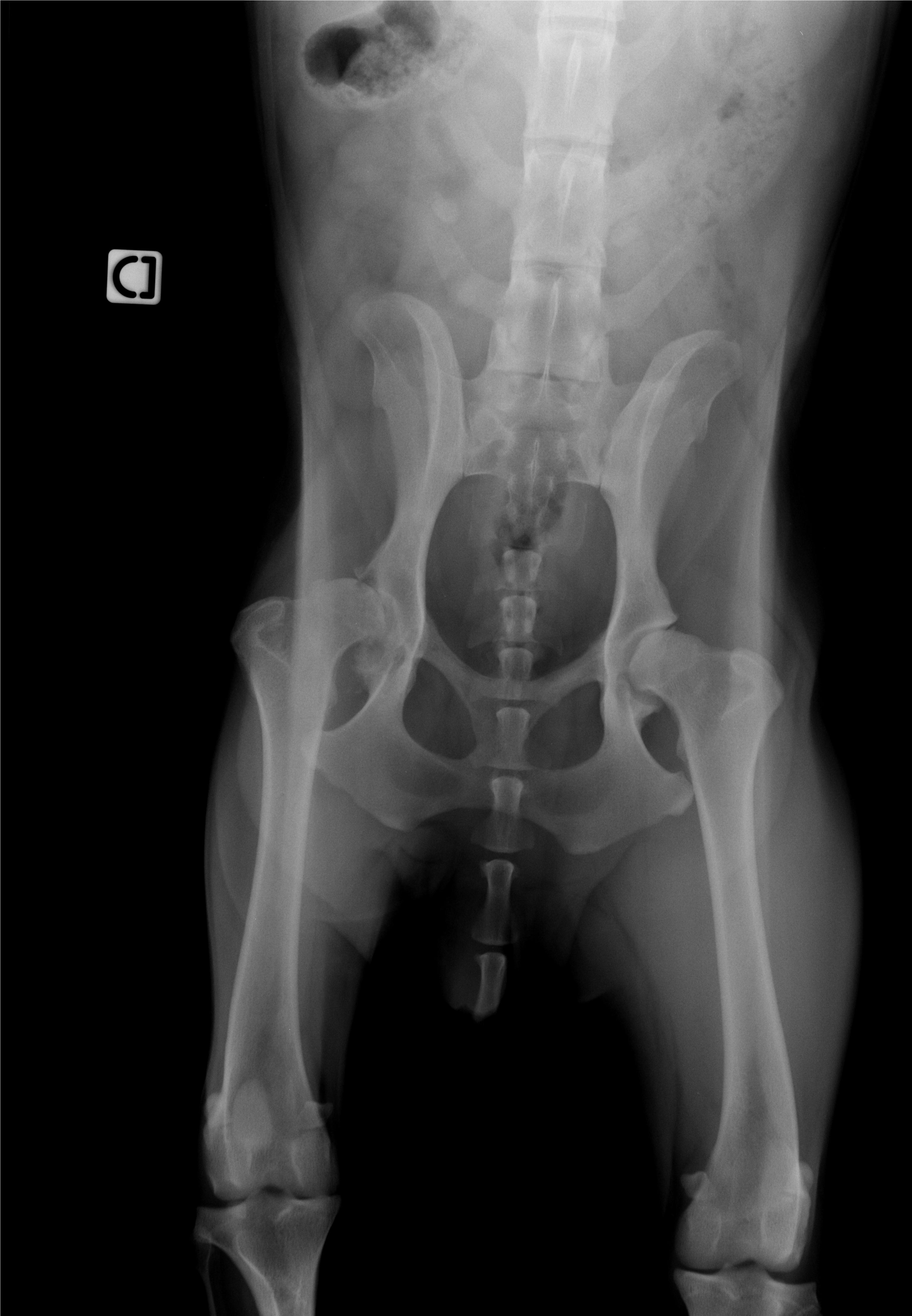
Donc il y a plus de trois semaines Hyole s'est remise à boiter fortement du jour au lendemain sans aucun signe avant. 20 jours d'anti inflammatoires et aucune amélioration , radios et le verdict tombe , la tete du fémur se désagrège comme la hanche et le cartilage n'existe plus .
La fonte musculaire est totale .
Ce soir j’amène Hyole pour opération demain matin pour supprimer la douleur.
Les conséquences peuvent être une boiterie mais j'espère qu'elle ne souffrira plus et qu'elle pourra toujours venir en promenade avec moi , si ce n'est à la chasse au moins à la plage pour le surf et kite .
Les radios Dysplasie fin d'alphabet
Pour info Hyole l'année dernière



Grosses caresses à Hyole! et courage pour la suite!







